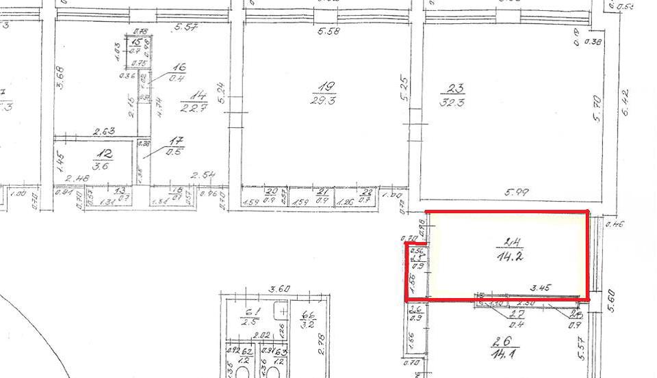
Ogres novada pašvaldības mantas novērtēšanas un izsoles komisija rīko nomas tiesību rakstisku izsoli Ogres novada pašvaldībai piederošajā nekustamajā īpašumā ar nosaukumu “Pagastmāja”, Madlienas pag., Ogres nov., kadastra numurs 7468 001 0291, sastāvā esošās administratīvās ēkas ar kadastra apzīmējumu 7468 001 0291 001 daļu - telpu grupas ar kadastra apzīmējumu 7468 001 0291 001 001 telpas Nr. 24 daļu ar platību 14,2 m2 un telpu Nr. 25 ar platību 0,9 m², ar summāro platību 15,1 m2 (turpmāk – Telpa).
Telpas izmantošanas veids – saimnieciskās darbības veikšana
Nomas tiesību termiņš – 5 (pieci) gadi.
Nomas objekta nosacītā nomas maksa 3 EUR (trīs euro) par 1m2 mēnesī (bez pievienotās vērtības nodokļa).
Lai piedalītos rakstiskajā izsolē, pretendentam līdz 2025. gada 17. decembra plkst. 16.00 jāiesniedz piedāvājums, aizpildot izsoles noteikumu pielikumā esošo Pieteikuma veidlapu. Pieteikums jānosūta ierakstītā vēstulē pa pastu vai jāiesniedz personīgi, Ogrē, Brīvības ielā 33, 1. stāvā, Klientu apkalpošanas centrā. Pieteikumu jāiesniedz slēgtā aploksnē.
Uz aploksnes norāda,
- ka pieteikums iesniegts rakstiskai izsolei;
- nomas objekts;
- nekustamajam īpašumam arī atrašanās vietu;
- kadastra numuru, kadastra apzīmējumu;
- nomas tiesību pretendentu.
Piedāvājumu atvēršana notiks 2025. gada 19. decembrī plkst. 14.00 Ogres novada pašvaldībā, Brīvības ielā 33, Mazajā zālē.
Objektu var apskatīt darbdienās, iepriekš vienojoties ar Madlienas pagasta pārvaldes vadītāju (+371) 65039185.
Par izsoles norisi zvanīt Komisijas loceklei, tālr.(371) 65020910.
