Neskatoties uz ārkārtas stāvokli valstī, Ogres novadā saimnieciskā dzīve un būvniecības darbi turpinās. Pašreizējā situācija arī būvdarbu veicējiem ir izaicinājums - ir ieviesti papildu drošības…
Maršrutos: Nr. 3002 AS Ogre – Ogres stacija – SIA Ogres Autobuss – AS Ogre (svētdienās atceļot reisu no Stadiona plkst.17.35);Nr. 6090 Jaunogre – Dārziņi – Jaunogre un Nr. 6091 Jaunogre – Ogres…
Ņemot vērā, ka AS “CATA” sniedz sabiedriskā transporta pakalpojumu un tās darbinieki ir tiešā kontaktā ar plašu personu loku, lai nodrošinātu 13.03.2020. rīkojuma “Par rīcību, lai ierobežotu…
Līdz šim šāda pulcēšanās un laika pavadīšana rotaļlaukumos bija ikdienišķa un pašsaprotama, diemžēl šogad tā nav. Plašā mērogā un strauji izplatās smaga infekciju slimība, līdz ar to cilvēkiem…
Pilsētas ielas ar pašvaldības atvēlēto finansējumu, kā arī piesaistot Eiropas struktūrfondu līdzekļus, pamazām tiek sakārtotas, tādēļ arvien krasāks kontrasts veidojas ar daudzdzīvokļu dzīvojamo…
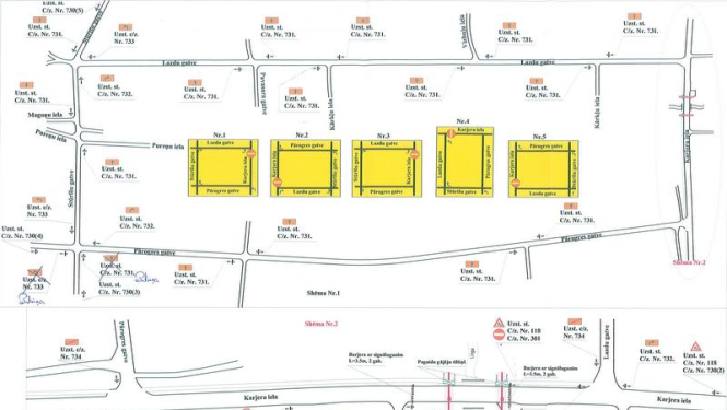
Mūsdienu standartiem atbilstoša transporta infrastruktūra ir viens no svarīgajiem priekšnoteikumiem uzņēmējdarbības attīstībai. Lai sekmētu komercdarbības attīstību un veicinātu privāto investīciju…
Vērienīgi ielu apgaismojuma atjaunošanas darbi pilsētā tiks veikti projekta “Viedo tehnoloģiju ieviešana Ogres pilsētas apgaismojuma sistēmā” ietvaros. Paredzēts ielu apgaismojuma sistēmā ieviest…
Sadarbībā ar AS “Sadales tīkli” šogad tiek veikti darbi elektrokabeļa un transformatora ierīkošanai līdz Aktīvās atpūtas laukumam pie Dubkalnu ūdenskrātuves. SIA “Rīgas meži” veic mežistrādes darbus…
Viena no pašvaldības prioritātēm ir gājēju un velobraucēju drošība, tāpēc 2020. gadā trotuāru, stāvlaukumu un veloceliņu rekonstrukcijai un remontdarbiem budžetā ieplānoti vairāk kā 600 000 eiro…
Apskates laikā vadītājam jābūt līdzi derīgai atbilstošas kategorijas traktortehnikas vadītāja apliecībai, tehnikas reģistrācijas apliecībai un jābūt derīgai OCTA polisei. Par VTUA sniegtajiem…